Home   Anmeldung   Gesundheitsshop   Kontakt   AGB   Suchen

 

 

HD - Hüftgelenksdisplasie

ED - Ellbogendisplasie

 

 

 

HD ist eine angeborene Entwicklungsstörung des Hüftgelenkes, welche die Bewegungsfreiheit eines Hundes sehr stark behindern kann.

HD wird bei der Auswertung durch eine spezielle Kontrollstelle (in der Schweiz in Bern oder Zürich) in verschiedene Stufen (Grade) eingeteilt:

 

Frei  -                      A  
Verdacht  -                      B  
Leicht -                      C  
Mittel  -                      D  
Schwer   -                      E  

                             

                    

HD wird zum grössten Teil durch Vererbung bestimmt, doch auch Aufzucht, Haltung und Ernährung (v.a. während des Wachstums) können Einfluss auf die Gradation der Displasie haben.

Die heutigen Auswertungen werden unter sehr strengen Gesichtspunkten gehandhabt, was dazu dienen soll, diese heimtückische Krankheit in einer Rasse möglichst auszumerzen.

   

 

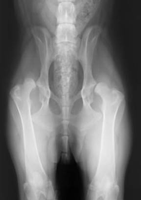
HD freies Gelenk

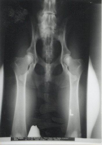
Hochgradige HD

 

Die HD ist züchterisch nicht ganz einfach in den Griff zu bekommen, zumal sehr wenig Auswertungsmaterial zur Verfügung steht. So kann es durchaus vorkommen, dass trotz Paarung HD-freier Tiere ein Welpe mit HD belastet sein kann. Für die Zucht ist es deshalb besonders wichtig, möglichst viele Hunde röntgen zu lassen, um auf diese Weise eine breitere Informationsbasis für die gezielte Zucht von gesunden Rassehunden zu schaffen.

Diesbezüglich gibt es natürlich unterschiedliche Meinungen bei Züchtern, doch wer seine Rasse liebt und auch in einigen Jahren noch gesunde Rassenvertreter antreffen möchte, scheut den Gang zu dieser Untersuchung nicht, um sich selber Gewissheit zu schaffen, dem Züchter möglichst viele Information zu gewähren und bringt somit der ganzen Rassenpopulation ein Opfer.

 

Das Röntgen wird unter Vollnarkose durchgeführt, wobei man mit den heutigen Techniken nicht Angst haben muss, dass der Hund einen Schaden davon trägt (eine entsprechende Vor- und Nachbehandlung, damit das Sedierungsmittel rasch möglichst aus dem Organismus rausgearbeitet wird, empfiehlt sich).

 

Eine Zuchthündin , auch wenn Sie über mehrere Generationen zurück aus einer HD-"sauberen" Linie stammt, sollte nur mit einem Rüden mit A- Gelenken gepaart werden. Keinesfalls sollten zwei auch nur leicht belastete Tiere miteinander gepaart werden. Die Auswahl des Rüden sollte besonders sorgfältig untersucht werden, genauso sollten Hündinnen aus bereits belasteten Erblinien nicht zur Zucht eingesetzt werden. In gezielter Zuchtauslese gelingt es über viele Generationen die HD besser unter Kontrolle zu halten. Viele Zuchtverbände führen bereits sogenannte Zuchtwertschätzungen durch, was unter offenen und ehrlichen Angaben der Züchter zu grossartigen Erfolgen zur Bekämpfung der Hüftgelenksdysplasie geführt hat. Doch leider ist es oft so, dass gerade die Vertreter der Rassezuchtkommissionen die Informationen dem Publikum vorenthalten und der einzelne Züchter keinen Zugriff auf entsprechende Daten hat, es ist also nicht ganz so einfach! 

 

 

HD Statistik

 

 

Eine Garantie, dass ein Welpe HD-frei ist, kann selbst der verantwortungsbewussteste Züchter nicht abgeben, sondern lediglich mit bestem Gewissen auf gute Resultate seiner Schützlinge hoffen, indem er die Zuchtauslese überlegt durchführt!

 

Im Interesse der Rassezucht sollten Sie Ihrem Vierbeiner im Alter von 15-18 Monaten (je nach Rasse auch später) die Hüftgelenke röntgen lassen.

 

Informieren Sie sich bei Ihrem Züchter wann und wo Sie zu einem spezialisierten Tierarzt fahren sollten. Ein guter Züchter wird Sie auch begleiten!

 

Präventiv-Therapie-Studien mit bekanntlich HD- belasteten Tieren haben enorme Verbesserungen in den  Auswertungen ergeben. Es lohnt sich einen Welpen/Junghund gezielt in seiner Skelettentwicklung zu unterstützen. Vorsicht sei geboten mit Futtermittelzusätzen!! Informationen hierzu erteile ich Ihnen gerne persönlich.

 

 

 

ED - Ellbogendisplasie
 

Die ED-Problematik verhält sich wie bei der HD (siehe dort). Auch hier ist eine Rassenhäufigkeit anzutreffen.

 

Die Auswertung der ED wird in folgende Grade eingeteilt:

 

Frei     

-           O  

Leicht

-           I  

Mittel 

-           II  

Schwer           

-           III  

 

 

zum Seitenanfang

 

 

 

2006 © by webmaster - Alle Rechte vorbehalten. Kopieren oder vervielfältigen gleich welcher Art von Inhalten ist nicht erlaubt!

Impressum - Haftung  - Copyright©